Publié le 13 novembre 2023

SWOT témoin du passage d’un typhon tropical

  • Actualité

  • Système Terre

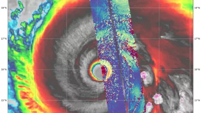
Trace du passage du satellite SWOT
Trace du passage du satellite SWOT acquise grâce l’instrument KaRIn et superposée sur un fond de carte acquis par le satellite HIMAWARI de l’agence météorologique japonaise (JMA) © JMA

Lors de son passage au-dessus des Philippines entre le 29 mai et le 3 juin 2023, le satellite franco-américain SWOT a observé pour la première fois avec une telle précision l’influence d’un typhon tropical sur la hauteur d’eau de la surface de l’océan.

Lors de sa phase de calibration et de validation, le satellite SWOT du CNES et de la NASA, a pu passer quotidiennement au-dessus d’une zone océanique à l’est des Philippines et ainsi croiser la route du typhon Betty / Mawar. Une opportunité pour le satellite d’observer, en sécurité à 891 km d’altitude, l’influence de phénomènes météorologiques extrêmes tels que les typhons sur la mesure de la hauteur de surface des océans.

L’image présentée ci-dessus montre la topographie de surface de l’océan en présence du typhon. Cette mesure dans l’infra-rouge acquise au moment du passage de SWOT permet d’identifier la position des bras de la spirale du cyclone, où se trouvent les cumulonimbus et de fortes précipitations.

L’instrument KaRIn, le cœur du satellite, y est affecté par les pluies très intenses qui faussent la mesure par une alternance de bruit bleu et rouge.

Entre les bras de la spirale, la mesure de hauteur indique l’état de l’océan sous le typhon où les précipitations se font plus rares.

Dans l’œil du typhon, le ciel reste clair et permet ainsi une observation de l’océan.

A l’intérieur et à proximité de l’œil, représenté ici par une tâche rouge et jaune au milieu de l’extrémité gauche de la trace, la dépression aspire la surface de l’océan, créant une forte élévation de la hauteur de l’eau qui se déplace avec le typhon. Ce phénomène est la principale cause des inondations côtières en cas de tempête/typhon.

Trace du satellite SWOT
Trace du satellite SWOT sur 6 jours consécutifs dans la même zone géographique montrant l’arrivée du typhon Betty/Mawar © CNES / NASA / SWOT Science team2023

La seconde image présente les mesures de SWOT au-dessus de la même zone géographique pendant 6 jours consécutifs. Elle permet de constater l’élévation de la surface de l’océan trois jours avant l’arrivée du typhon Betty/Mawar puis le jour de son passage et deux jours après.

Avant l’arrivée du typhon, il est possible d’observer des structures caractéristiques de l’océan moyen dans la région, notamment des tourbillons et ondes visibles en orange/rouge ou bleu/vert qui évoluent en continu.

Le jour du passage, les effets de la pluie et la dépression de l’œil du typhon sont particulièrement visibles.

Les jours suivants, il reste des évènements résiduels de pluie qui correspondent aux branches en rotation de la spirale du typhon. Contrairement aux jours précédents, une tache en bleu/vert de taille conséquente apparaît à l’emplacement où le typhon se trouvait dans le jaune/rouge auparavant.

Ce phénomène habituel correspond au fait que le typhon siphonne la chaleur des couches de surface de l’océan lors de son passage. En se refroidissant, l’eau se contracte et fait baisser la hauteur à la surface de l’océan. Cette chaleur est importante car elle va contrôler l’intensification ou l’affaiblissement du typhon sur les heures et les jours suivants.

L’observation d’un typhon est un cas intéressant pour étudier le comportement de la mesure SWOT dans des situations aussi extrêmes. Pour la première fois, un altimètre peut observer ce type de phénomène quotidiennement en 2D, ce qui permettra de mieux comprendre le volet océanique de l’évènement.

 

En savoir plus sur la mission SWOT

Lancé depuis la base de l’US Space Force de Vanderberg en Californie, SWOT est une mission en collaboration entre le CNES et la NASA avec des contributions de l’Agence spatiale canadienne (ASC) et de l’Agence spatiale du Royaume-Uni (UKSA).

L’objectif de SWOT est de fournir des mesures à haute résolution de la hauteur de l’eau dans les océans et les masses d’eau douce de surfaces du monde entier, avec une précision inégalée. Il permettra de mieux comprendre le rôle de l’océan dans le changement climatique et aidera les communautés locales à surveiller et à planifier les changements dans les ressources en eau et les effets de la montée des eaux.

Dans le cadre de cette coopération internationale, le CNES est en charge de la fourniture de l’orbite précise du satellite avec l’instrument DORIS, de l’altimètre nadir Poséidon ainsi que du sous-système radiofréquence, cœur de l’instrument KaRIn. Il fournit également la plateforme du satellite développée par Thales Alenia Space ainsi que le segment de contrôle au sol et traitera les données de SWOT au fil de l’eau.

La NASA fournit l’instrument KaRIn (intégrant le sous-système radiofréquence fourni par le CNES et des éléments fournis par l’ASC, UKSA), un récepteur GPS, un rétroréflecteur laser, un radiomètre à micro-ondes à deux faisceaux. 
Enfin, elle a fourni le système de lancement du satellite depuis la Californie et est en charge des campagnes de retraitement global des données de l’instrument KaRIn.

Pour en savoir plus sur la mission rendez-vous sur la page projet de SWOT.

Continuez votre exploration